COMISION 0% - Parcele cu utilitati si Autorizatie de construire - Mosnita
45.795 €
Moșnița Nouă, Timiș
Actualizat: 7 aprilie 2026
Descriere
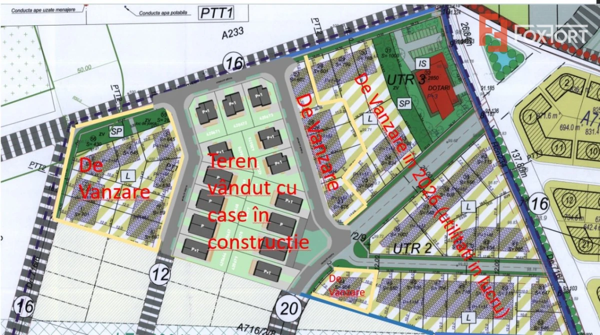
COMISION 0% - Parcele cu utilitati Mosnita pentru duplex.
FOXFORT propune spre vanzare parcele de teren intravilan pretabil constructii in Mosnita, avand suprafate intre 600-700 mp cu fronturi cuprinse intre 18 si 30 ml. Caracteristici teren: POT 35%, regim de inaltime permis Parter + Etaj.
Utilitati: curent electric, apa, gaz si fibra optica.
Pretul este de 45.795€ + tva - COMISION 0%.
Se accepta ca si modalitate de plata surse proprii.
ID intern: V8410
Trimite acum link-ul unui prieten pe:
Contactează vânzătorul
Usurelu Nicu
Companie
Pe ZUP din 12 ianuarie 2026
Localizare
Ați vizualizat anunțul: COMISION 0% - Parcele cu utilitati si Autorizatie de construire - Mosnita
Localizare
Ați vizualizat anunțul: COMISION 0% - Parcele cu utilitati si Autorizatie de construire - Mosnita
Usurelu Nicu
Companie
45.795 €
Usurelu Nicu
Pe ZUP din 12 ianuarie 2026
Trimite acum link-ul unui prieten pe: